Notice of Disposition of Land
RDN and Parksville Land Exchange
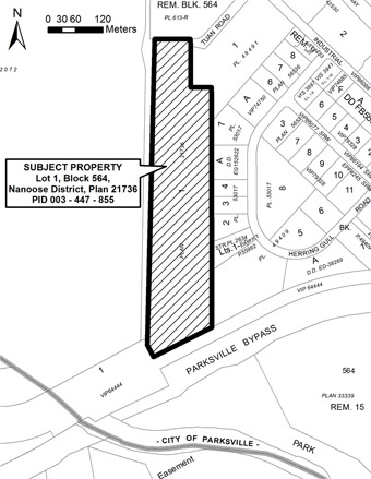
The Board of the Regional District of Nanaimo hereby gives notice pursuant to section 286 of the Local Government Act of the intention to dispose of land that is not being made available to the public for acquisition. The land to be disposed of is the Regional Districts' undivided twenty six percent (26%) interest in land described as 1030 Tuan Road; Lot 1, Block 564, Nanoose District, Plan 21736, as shown outlined in Map 1; the remaining undivided 74% interest in this land is currently owned by the City of Parksville.
| Map 1 | Map 2 |
|---|---|
![]() |
![]() |
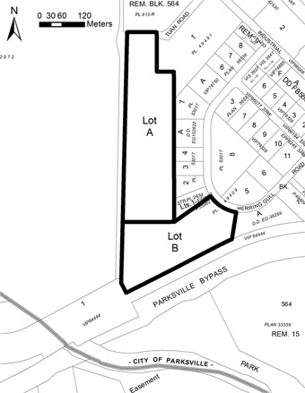
The Regional District intends to exchange its interest in the land as part of a land exchange agreement with the City of Parksville to facilitate a lot line adjustment of the land with an adjacent property owned solely by Parksville, thereby creating two new lots (Lot A and Lot B as shown in Map 2) within the existing two properties. Under the terms of the agreement, the City of Parksville will acquire the Regional District's undivided twenty six percent (26%) interest in the land being disposed such that Parksville will be the sole owner of the new Lot A, and in consideration thereof the City of Parksville will transfer to the Regional District a fourteen percent (14%) interest in the new Lot B, and will further pay to the Regional District the sum of two hundred and twenty six thousand two hundred dollars ($226,200.00). The Regional District and Parksville will own Lot B as tenants in common for the purpose of a new water treatment facility; Regional District's ownership share represents its level of participation in the Englishman River Water Service.
For more information concerning this disposition of land, please contact Joan Harrison, Director of Corporate Services at (250) 390-4111, or toll free at 1-877-607-4111.

